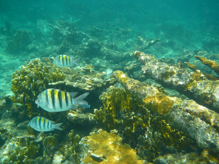
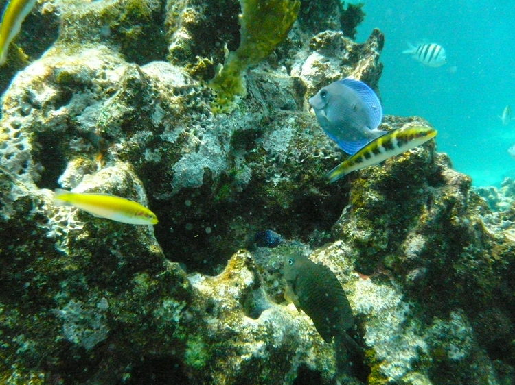
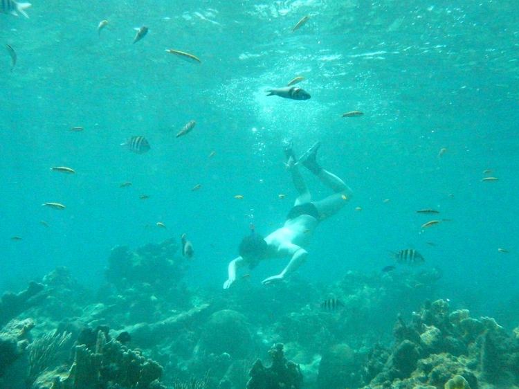
Das Meer vor Kuba